Mantiene zona de baja presión probabilidad de desarrollo ciclónico
• Recomienda gobierno municipal estar atentos a los avisos que emita Protección Civil.
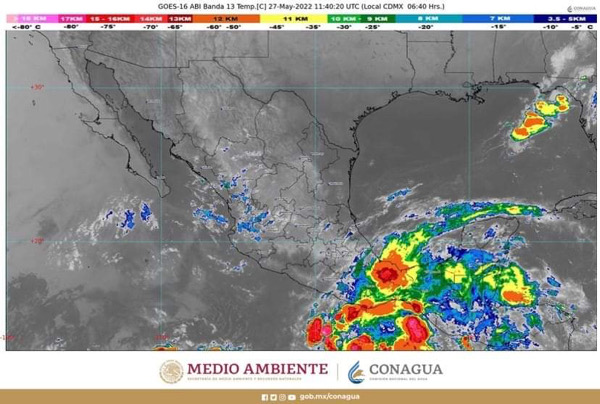
Acapulco, Gro., 27 de mayo de 2022.- El Gobierno Municipal, a través de la Coordinación de Protección Civil, informa a la población que, debido a la presencia de una zona de baja presión con alto potencial a desarrollo ciclónico, ubicado al Sur de las costas de Oaxaca, se pronostican lluvias fuertes en algunas zonas de Guerrero y otros estados más.
De acuerdo al reporte del Servicio Meteorológico Nacional (SMN), dicho fenómeno sería el primer ciclón de la temporada 2022, la zona de baja presión mantiene el 80 por ciento de probabilidad de desarrollo ciclónico a 48 horas y un 90 por ciento a cinco días, se localizó a 320 kilómetros al Sur-Suroeste de Puerto Ángel Oaxaca, con desplazamiento hacia el Oeste-noroeste a una velocidad de 8 a 16 kilómetros por hora.
Por indicaciones de la presidenta municipal, Abelina López Rodríguez, personal de Protección Civil mantiene vigilancia y monitoreo permanente del fenómeno, a fin de emitir los avisos a la población.
El gobierno de Acapulco le recuerda a la población que la temporada de lluvias comprende del 15 de mayo al 30 de noviembre, motivo por el cual se les recomienda guardar documentos personales en bolsas plásticas, ubicar rutas de evacuación y refugio temporal más cercano, así como tener a la mano linterna, radios con baterías y en caso de una emergencia comunicarse a los teléfonos 911 y 072.



