Mar de Noticias Guerrero

Te ayudamos a navegar por la información

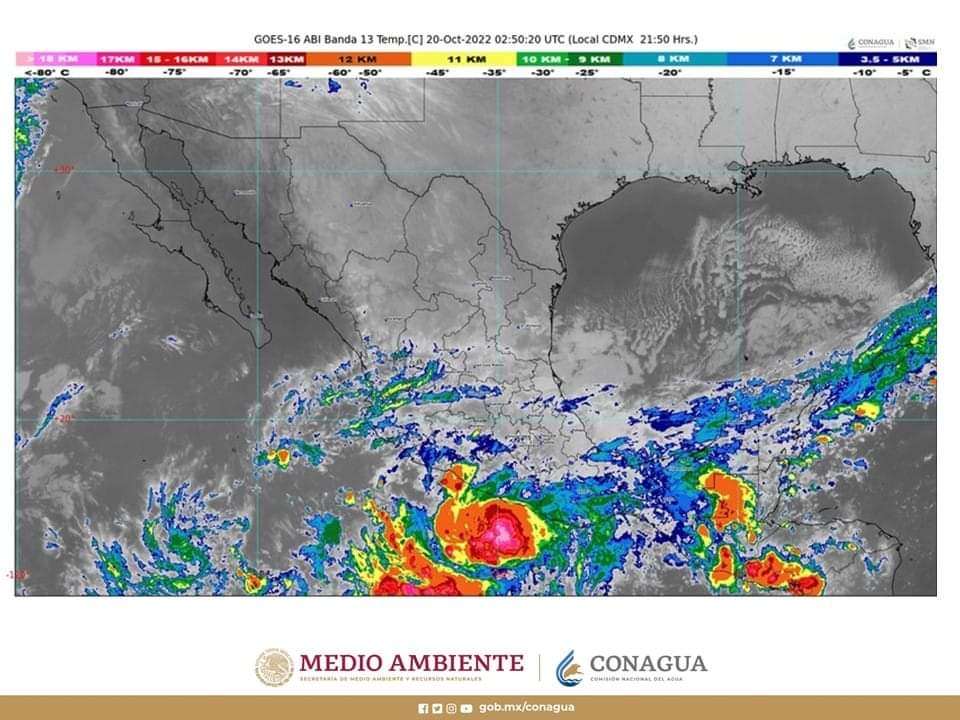
Se forma depresión tropical “Diecinueve E” al sur de las costas de Guerrero

Acapulco, Gro., 19 de octubre de 2022.*- El Gobierno Municipal informa a la población que, a las 22:00 horas, tiempo del centro de México, se formó la depresión tropical “Diecinueve E”, en el Océano Pacífico, su centro se localiza a 230 kilómetros al sur-suroeste de Técpan de Galena, Guerrero y a 280 kilómetros al sur de Zihuatanejo.

De acuerdo al Servicio Meteorológico Nacional (SMN), el fenómeno presenta vientos máximos sostenidos de 55 kilómetros por hora, rachas de 75 kilómetros por hora y desplazamiento al hacia el oeste-noroeste a 7 kilómetros por hora y sus bandas nubosas ocasionan lluvias intensas (de 75 a 150 [mm]) en el estado. Además de rachas de viento de 60 a 80 kilómetros por hora y oleaje elevado de 2 a 4 metros de altura en costas la entidad.

Ante ello, el Gobierno Municipal reitera el llamado a la población a extremar precauciones.

Las lluvias generadas por este sistema podrían provocar deslaves, incremento en niveles de ríos y arroyos, desbordamientos e inundaciones.